岩土工程项目怎么做?

2025-02-17 3502 0

近年来,随着国内基础设施建设的不断推进,岩土工程分析在国内得到了广泛的应用和发展。首先,在技术方面,国内岩土工程分析技术不断进步,从传统的勘察方法到现代的数值模拟技术,为岩土工程分析提供了更加准确和可靠的数据支持。其次,在应用领域方面,岩土工程分析不仅应用于建筑工程、交通工程等领域,还扩展到了水利工程、环保工程等领域。

下面,我们一起来看看岩土工程分析的特点以及其对建设工程的作用。

岩土工程分析的特点
1.多样性:岩土工程涉及的岩石和土壤类型多样,性质各异,因此需要针对不同类型和性质的岩石和土壤进行不同的分析和处理。
2.复杂性:岩土工程涉及的地质条件复杂多变,需要综合考虑多种因素的综合影响,如应力、应变、渗流、温度等。
3.经验性:岩土工程分析需要借助大量的实践经验和理论模型,因此具有一定的经验性。
4.动态性:岩土工程问题常常是动态变化的,需要考虑时间效应和环境因素的影响。


岩土工程分析的作用

1.确保工程安全:岩土工程分析通过对地质条件、岩土性质和工程要求的分析,为工程设计和施工提供科学依据。通过准确的地质勘察和岩土分析,可以确定合适的施工方案和材料选择,确保工程的安全性和稳定性。

2.提高工程质量:岩土工程分析可以帮助工程师了解岩土的性质和工程要求,从而制定出合理的施工方案。通过精确的测量和测试,可以控制施工过程中的质量标准,确保工程符合设计要求,提高工程的质量和可靠性。

3.节约资源和成本:通过岩土工程分析,可以合理地利用资源和节约成本。通过对地质条件和岩土性质的分析,可以确定最经济、最合理的施工方案,减少不必要的浪费和成本支出。

4.促进工程可持续发展:岩土工程分析可以促进工程的可持续发展。通过对地质环境的保护和利用,可以减少对自然资源的过度开发和破坏,促进工程与环境的和谐发展。


BIM在岩土工程分析中的作用
由于岩土工程的复杂性,和BIM技术可视化、模拟性和协调性等特点,因此,近年来,BIM技术在岩土工程分析中发挥着越来越重要的作用。

1.建模与可视化:BIM技术可以建立岩土工程的三维模型,实现模型的数字化表达和可视化。这有助于工程师更好地理解和分析地质、地形等信息,为后续的设计和施工提供准确的参考。

2.参数化分析:BIM技术可以与岩土工程分析软件PLAXIS 3D相结合,实现参数化分析。通过输入岩土的物理力学参数,可以模拟岩土的变形、应力分布等,为工程设计和施工提供科学依据。

3.协同设计与优化:BIM技术可以实现各专业之间的协同设计,促进信息共享和沟通。在岩土工程中,可以利用BIM技术进行多专业协同设计,优化设计方案,提高工程质量和效率。

4.施工模拟与优化:BIM技术可以模拟岩土工程的施工过程,预测可能出现的问题,并提前进行优化。这有助于减少施工过程中的风险和成本,提高施工效率和质量。

BIM技术在岩土分析中的作用,可以为工程设计和施工提供有力支持。下面,我们一起来看看岩土工程分析软件有哪些,各有哪些作用。


1.PlAXIS 2D

PLAXIS 2D是一款对岩土工程和岩石力学中的变形和稳定性进行二维分析的有限元软件。它提供方便的建模方式、先进的本构模型和计算方法,以模拟土和岩石的非线性、时间相关性和各向异性,计算土的静水压力及超静水压力,分析土与结构的相互作用。

PLAXIS 在全球范围内被土木和岩土工程行业的顶级工程公司和机构所采用。应用领域涵盖开挖、路堤、地基,再到隧道掘进、采矿、石油天然气和储层岩石力学。

软件详情:PLAXIS 2D 二维岩土工程分析软件 | 岩石变形和安全分析


2.PLAXIS 3D

PLAXIS 3D 是一款用于分析岩土工程变形和稳定性的三维有限元软件。它提供方便的建模方式、先进的本构模型和计算方法,以模拟土和岩石的非线性、时间相关性和各向异性,计算土的静水压力及超静水压力,分析土与结构的相互作用。

PLAXIS 3D还是一个用户友好的三维岩土工程软件,提供了灵活协同的几何建模、对施工过程进行真实模拟、强大可靠稳定的分析内核、全面细致的后处理,使其成为工程师岩土工程日常分析与设计的完整解决方案。

软件详情:PLAXIS 3D 三维岩土工程软件 | 岩土工程分析


3.PLAXIS LE
PLAXIS LE 是一款二维/三维极限平衡软件,可对土体或岩石边坡进行普通和复杂的岩土工程分析。各种来源的大量数据集均可快速解译导入,进行原型设计、分析和实现可视化。结合多个位置同时进行的空间稳定性分析,对大量场地开展全面分析。

软件详情:PLAXIS LE 二维/三维极限平衡软件 | 边坡稳定性分析


4.gINT
gINT 提供远超基本日志的强大功能。通过自定义报告,您能够使用图片、照片、图表和地图等任何方式,对地下数据进行报告和管理。该软件除了可以帮助您管理钻孔、测井日志、CPT 和地理物理日志,还可以创建围栅图、图片、表格和其他任何您能够想象到的报告。

软件详情:gINT 地下数据管理和报告软件


5.PLAXIS Designer

PLAXIS Designer 是一款三维岩土工程概念模型软件,专为岩土工程师而开发,它将弥合原始数据与概念模型之间的差距。PLAXIS Designer可实现地质建模、工程建造、几何拓扑、钻孔和地下水等设计,从而减少复杂场地的设计和分析的时间。

软件详情:PLAXIS Designer 三维岩土工程概念模型软件 | 强大的三维概念设计功能


6.艾三维岩土建模插件

艾三维岩土建模插件是一款基于勘查项目原始数据,实现三维地质(地层、钻孔)模型创建和地层属性赋予的地质信息快速建模插件插件除了便于后期工程信息查看与管理,还能实现模型与属性数据的联动变化。

插件详情:艾三维岩土建模插件 | 基于地质信息快速建模


7.OpenRoads Designer 
OpenRoads Designer 是一款功能完善、全面详细的设计应用程序,适用于勘测、排水、地下设施和公路设计,涵盖以往通过 InRoads、GEOPAK、MX 和 PowerCivil 提供的所有功能。

OpenRoads Designer 用途广泛,可用于大型项目或小型项目等各种类型的土木工程项目的各个阶段,适用于任何专业程度的用户。它可以轻松处理各种复杂任务,包括立交桥设计、环形交通枢纽设计、土地开发、污水和雨水管网设计,以及生成施工风险报告。

软件详情:OpenRoads Designer 公路设计软件 | 满足全生命周期需求


岩土工程项目案例
城市轨道交通14号线工程串联福田中心区、清水河、布吉、横岗、龙岗大运新城、坪山中心区、坑梓、沙田等区域,覆盖深圳东部地区南北向交通需求走廊,是联系深圳中心区与东部组团的轨道交通快线,是支撑深圳东部发展轴的轨道交通骨干线,是支持深圳东进战略实施的重要交通保障。本线设计时速120km/h,将快速拉近深圳中心区与东部各组团间的时空距离,满足区域内以及组团间的快速通勤需求。


1.项目BIM咨询服务内容

在项目实施期间,我司主要负责项目区间BIM建模、地质BIM建模、工程量统计、4D施工模拟等内容,并提供驻场服务,协助项目疑难解决,推动项目进展。

1)采用Bentey软件搭建四联站到坳背站区间盾构隧道模型;

2)区间BIM建模:建立合计2.6公里的地铁区间LOD300精度的模型(起始点DK20+572到DK23+199);

3)隧道BIM建模:从隧道起点开始,1.5米为一环,进行隧道建模;

4)地质BIM建模:建立地铁区间附近的地质模型,含每个地质层的项目信息(区间合计2.6公里周边);

5)工程量统计:按照每1.5m一环的管片进行工程量统计;

6)4D施工模拟:盾构区间模型进行4D施工模拟(按照相关的施工进度计划文件模拟)。


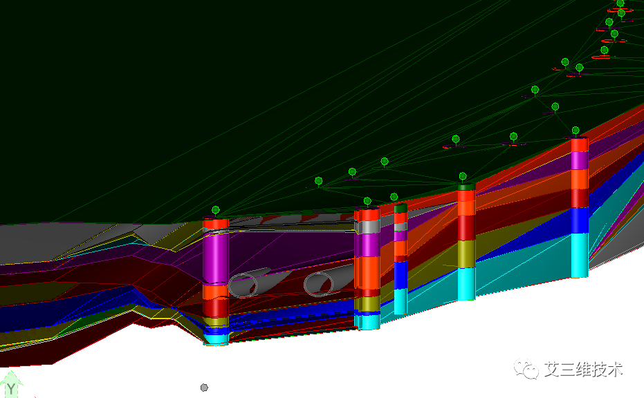
2.部分项目成果展示
1)地质模型





2)钻孔平面图

 

3)地质柱状图



4)隧道模型


5)地质隧道剖面图



评论 (0

成功提示

错误提示

警告提示

TOP